Nouvelle recherche
Cette annonce m'intéresse
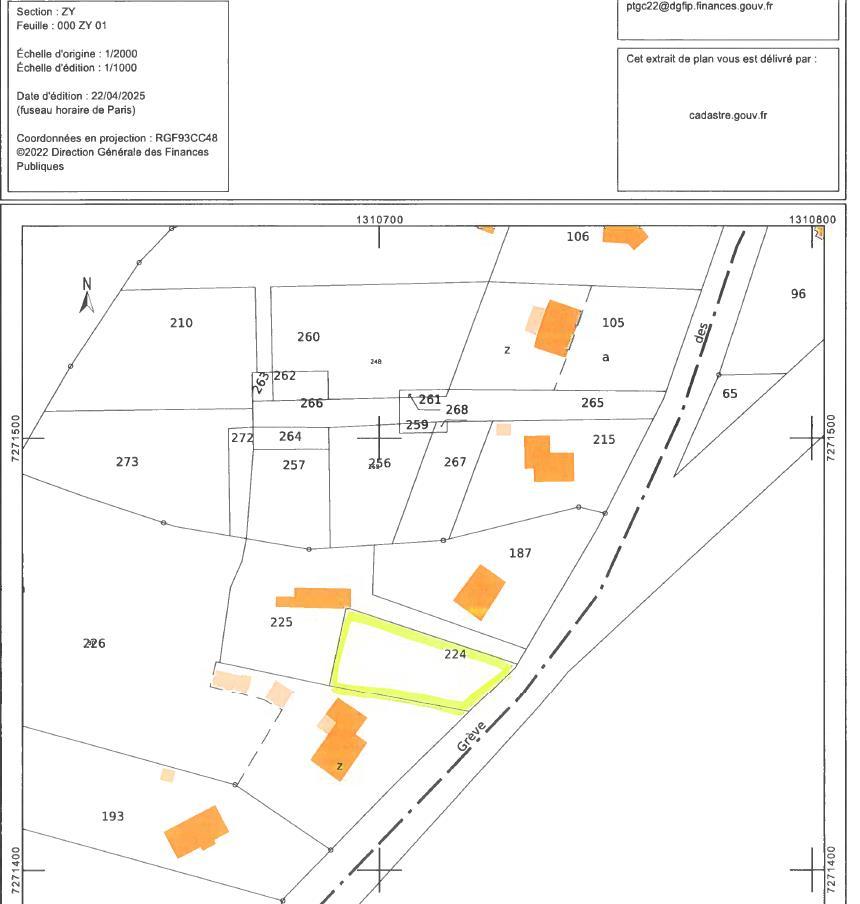
Terrain proche Plancoët et axe Plancoët / Lamballe
Prix :
63 300,00 €
Dont honoraires 3 300,00 € TTC inclus (5,50 %) à la charge de l'acquéreur, soit 60 000 € hors honoraires.
Type de bien :
Terrain
Surface :
599,00m²
Localité :
Pluduno (22130)
Référence :
22055-144
Description du bien
Joli terrain proche Plancoët et axe Plancoët / Lamballe prêt à viabiliser, les réseaux passent à proximité, assainissement individuel à créer. Les informations sur les risques auxquels ce bien est exposé sont disponibles sur le site Géorisques : www. georisques. gouv. fr
Mandat
| Téléphone mandataire : |
+33610732683 |
| E-mail mandataire : |
Veuillez utiliser le formulaire de contact ci-dessous ... |
| Négociateur : |
Laetitia RENAUD |